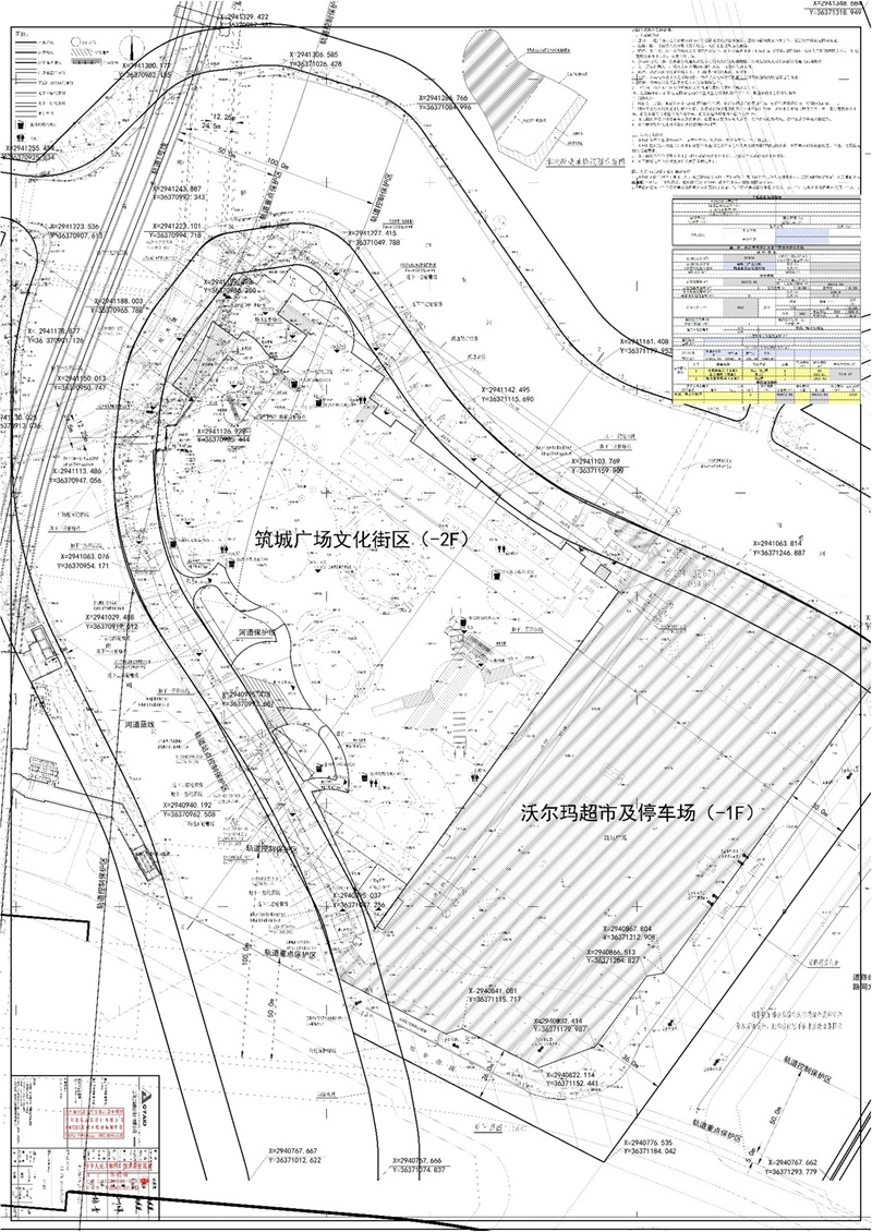
11月25日,据贵阳市自然资源和规划局消息,其发布关于贵阳市筑城广场文化街区改造工程项目规划设计方案批前公示。

公示显示,贵阳市越涧商业管理有限公司申报审查的贵阳市筑城广场文化街区改造项目总建筑面积65072.65平方米,其中车库33967.16平方米,全地下商业27825.31平方米,架空层930.56平方米,商业配套2349.62平方米(其中物业服务用房1927.01平方米,公共厕所342.61平方米,垃圾收集点80平方米),停车位803个。
11月25日,据贵阳市自然资源和规划局消息,其发布关于贵阳市筑城广场文化街区改造工程项目规划设计方案批前公示。

公示显示,贵阳市越涧商业管理有限公司申报审查的贵阳市筑城广场文化街区改造项目总建筑面积65072.65平方米,其中车库33967.16平方米,全地下商业27825.31平方米,架空层930.56平方米,商业配套2349.62平方米(其中物业服务用房1927.01平方米,公共厕所342.61平方米,垃圾收集点80平方米),停车位803个。
关联楼盘
热门楼盘
查看更多热门楼盘>>