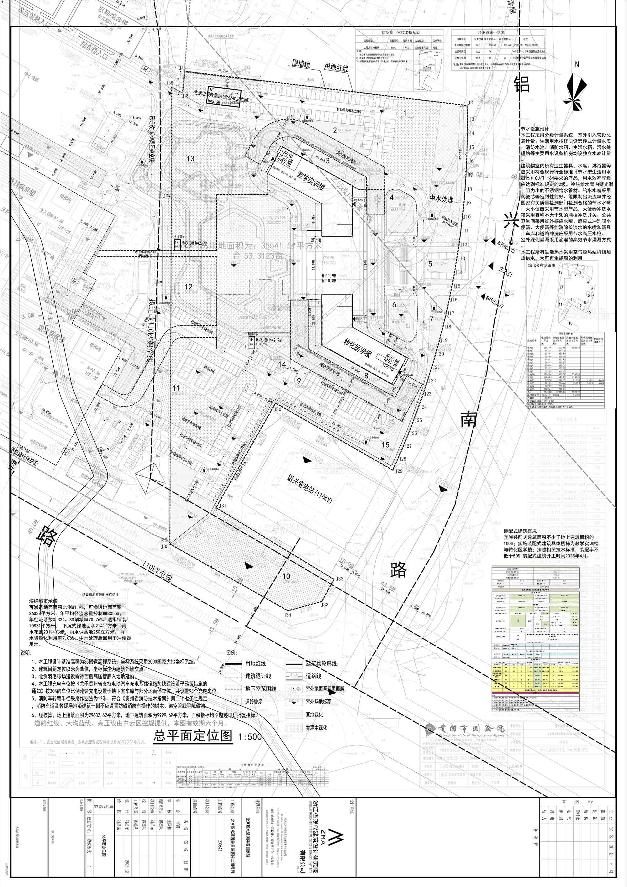
5月6日,贵阳市自然资源和规划局发布关于北京积水潭医院贵州医院二期项目公示。

公示显示,北京积水潭医院贵州医院二期项目位于贵阳市白云区白金片区2号路北侧,现北京积水潭医院贵州医院一期项目的东侧,申报单位为贵州省骨科医院,申报类别为建设工程规划设计方案审查及《建设工程规划许可证》。
该项目规划总用地面积35541.51平,计容用地面积35541.51平,可建设规模面积63974.72平,总建筑面积39682.31平。

此外,项目的总停车位463个,其中:室外 218个、室内245个。最高建筑高度 57.6 m,最高建筑层数12层,建筑总栋数6栋。
该项目将建造教学实训楼,总面积14301.65㎡;生活垃圾收集站(含公共卫生间),总面积180.635㎡;转化医学楼,总面积15155.70㎡;楼梯间和地下室,总面积10044.33㎡。


